Superbe terrain à bâtir pour projet avec vue sur les champs.

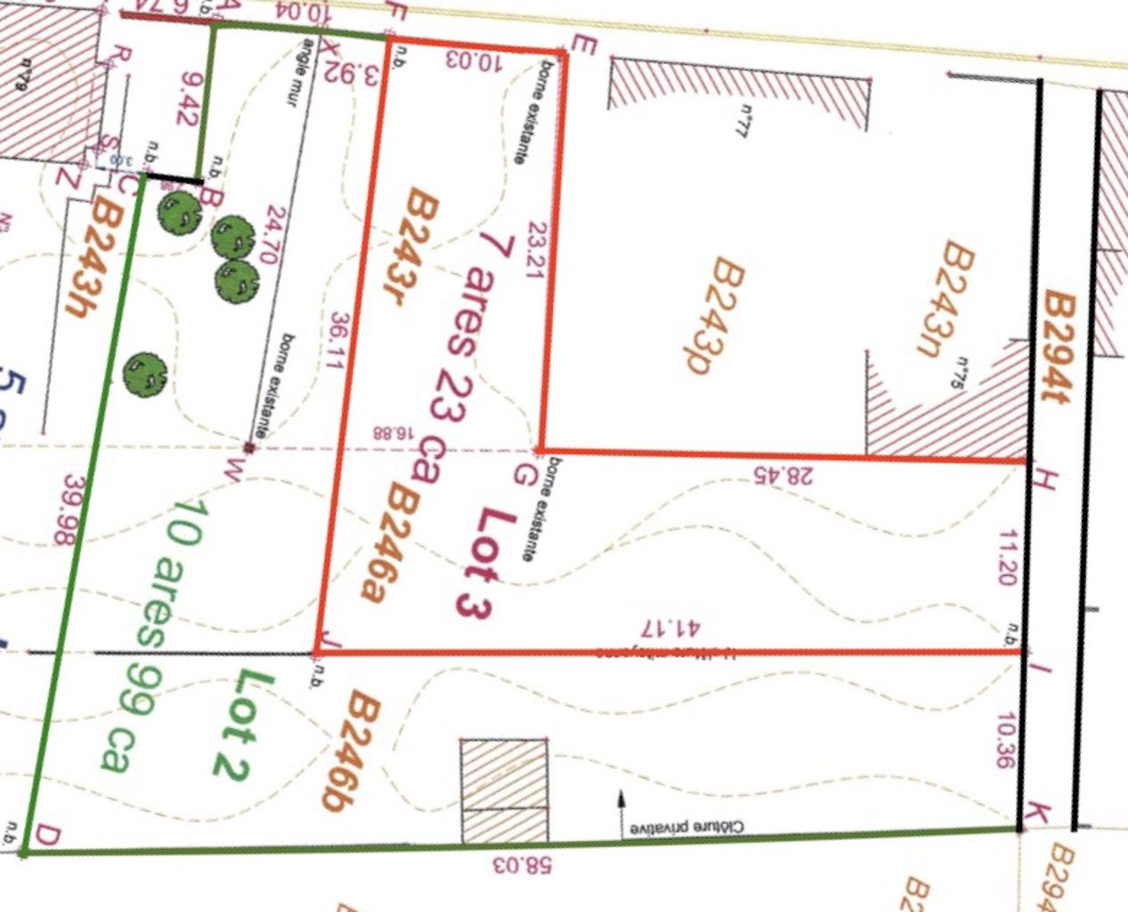
A vos projets: un grand terrain à bâtir d'environ 18 ares avec une magnifique vue à l'arrière sur les champs. Ce terrain d'env. 18 ares est agrémenté d'un box garage et offre la possibilité de construire au maximum 5 unités en concertation avec l'urbanisme, tout comme une villa ou 2 maisons jumelées. Vendu avec ce terrain 2/5 d'un chemin d'accès un peu plus bas (1,43 ares) Possibilité d''acquérir le lot 2 à 145.000€ ou le lot 3 à 115.000€ Renseignements: 0472762492 ou muriel@moonsrealty.be.

Intéressé(e) par une visite ?

Fiche Technique

  • Icône localisation Magasins
    300
  • Icône localisation écoles
    1000
  • Icône localisation Transports en commun
    100
  • Icône localisation Sous régime TVA
    0
  • Icône localisation égouts
    oui
  • Icône localisation électricité
    oui
  • Icône localisation Type d'environnement
    Vue dégagée
  • Icône localisation Type d'environnement 2
    résidentiel
  • Icône localisation Gaz
    oui
  • Icône localisation Eau
    oui
  • Icône localisation Magasins
    oui
  • Icône localisation Ecoles
    oui
  • Icône localisation Transports en commun
    oui
  • Icône localisation Autoroute
    oui
  • Icône localisation Autoroute
    2000
  • Prix
    240.000€